BAUGRUNDSTÜCK MIT BAUGENEHMIGUNG FÜR EINE ERSTKLASSIGE VILLA AUF DER INSEL KRK
Baugrundstück für mediterrane Villa mit erstklassiger Ausstattung auf Krk
Das großzügige Baugrundstück auf der malerischen Insel Krk bietet Ihnen die Möglichkeit, ein Traumhaus in unmittelbarer Nähe zur Küste zu schaffen. Nur 2500 Meter, die sich in wenigen Minuten mit dem Auto zurücklegen lassen, trennen Sie vom glasklaren Meer, das zum Baden und Entspannen einlädt. Krk selbst ist das kulturelle Herz der Insel und begeistert mit einer perfekten Kombination aus historischem Charme und modernem Urlaubsflair. In der Umgebung finden Sie vielseitige Freizeitmöglichkeiten: Die belebte Uferpromenade Riva verbindet den modernen Teil der Stadt mit dem historischen Stadtzentrum, wo jahrhundertealte Stadtmauern, die Feste der Frankophoner und der charakteristische Glockenturm der Kathedrale auf Sie warten. Auf dem zentralen Platz Vela placa erleben Sie das pulsierende Leben, während zahlreiche Geschäfte, Cafés und Restaurants zum Flanieren einladen. Insbesondere für Familien sind die herrlichen Strände wie Drazica, die sanft ins Wasser abfallen, ein großer Anziehungspunkt. Das pulsierende Nachtleben und die kulinarischen Köstlichkeiten der Insel – von lokalen Spezialitäten bis hin zu internationalen Gerichten – sind Highlights des Lebens auf Krk, die Sie nicht verpassen sollten. Nutzen Sie die Gelegenheit, Ihr eigenes Stück vom Paradies in dieser beliebten Urlaubsregion zu erschaffen!
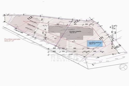
Auf diesem großzügigen Baugrundstück mit einer Fläche von 933 m² haben Sie die Möglichkeit, eine bezaubernde mediterrane Villa zu errichten, die auf eine Wohnfläche von 153 m² ausgelegt ist. Die vorhandene Baugenehmigung sowie die Projektdokumentation erleichtern Ihnen den Bauprozess erheblich. Die Villa erstreckt sich über 2 Etagen und bietet im Obergeschoss 3 geräumige Schlafzimmer sowie 2 moderne Badezimmer. Der offene Wohnbereich im Erdgeschoss ermöglicht eine helle und einladende Atmosphäre, während die großzügigen Außenbereiche zum Entspannen und Verweilen einladen. Ein Highlight der Immobilie ist der 32 m² große Pool, der perfekten Badespaß und Erholung bietet. Die überdachte Terrasse schafft einen idealen Ort für gesellige Zusammenkünfte oder entspannte Abende im Freien.
Das Grundstück überzeugt nicht nur durch seine ruhige Lage und den Blick in die Natur, sondern auch durch die unmittelbare Nähe zur Infrastruktur und einer gut ausgebauten Zufahrtsstraße. Hier haben Sie ausreichend Platz, um Ihren Wohntraum zu verwirklichen und die Vorzüge einer harmonischen Nachbarschaft zu genießen.
Das Baugrundstück erwartet Sie in Krk!
Die Stadt Krk ist die bedeutendste Stadt und mit ca. 3700 Einwohnern auch die größte Stadt auf der Insel. Sie ist Hafenstadt und Kurort und liegt nur ca. 25 km von der Brücke entfernt.
- Ort: Krk (Stadt)
- Einwohnerzahl: 6243 (2011)
- Region: Kvarner-Bucht
- Insel: Krk
- Autobahnentfernung: ca. 30 km *
- Nächster Flughafen: Rijeka / ca. 26 km *
Immobiliendaten
- Objektart: Grundstück
- Objekttyp: Baugrundstück
- ID: 7767
- Kaufpreis: 180.000 €
- Provision: 3,75 % inkl. MwSt. in Kroatien
- Grundstücksgröße: 933 m²
- Land: Kroatien
- Region: Kvarner-Bucht
- Ort: Krk
- Lage: Ortslage
- Meerentfernung: 3 km
- Ortsmitte: 3 km
Haben Sie Interesse das schöne Baugrundstück zu besitzen?
Nehmen Sie gerne Kontakt mit mir auf!
Ich bin Heiner Reker, Gründer und
Geschäftsführer von Reker Immobilien d.o.o. Ich begleite Sie bei Ihrer aufregenden Reise in die Welt der Immobilien in Kroatien.
Gerne organisiere ich persönlich mit meinen qualifizierten Partnern jeden Schritt bei Ihrem rechtssicheren und stressfreien Immobilienkauf in Kroatien.
Füllen Sie das Formular aus und ich melde mich gerne zum gewünschten Zeitpunkt bei Ihnen.
Bis bald
Exposé mitnehmen?
Laden Sie unser PDF-Exposé herunter und Sie haben die wichtigste Objektdaten & Bilder immer zur Hand
Exposé mitnehmen?
Nehmen Sie Kontakt mit uns auf, ein Exposé schicken wir gerne per E-Mail
Ihre Traum-Immobilie noch nicht gefunden?
Besuchen Sie diese Seiten!




